Parcel A + B

Purchasers have the option to buy Parcels A1 & A2, or A1 & B1 or A2 & B2.

Options Square Feet Acres Price Price/Acre Price/SF
Buy A1 & B1 179,087 4.111 $1,075,000 $261,481 $6.00
Buy A2 & B2 214,051 4.914 $1,950,000 $396,825 $9.11
Buy A1 & A2 63,797 1.465 $775,000 $529,155 $12.15

 

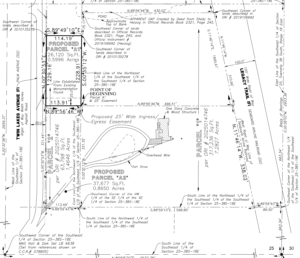
Parcel Splitting and Easement

We are in process for splitting Parcel A into Parcels A1 and A2. Surveys have been completed, legal descriptions are done. We are having easement documents drafted for execution. Easement are required for access to Parcel B1 and B2.

Purchaser buying two parcels may not need one or more easements. We can modify easements as necessary.

 

Survey Data